The Broken Arrow

Horses

Work, Play, Or Just Petting

Here at The Broken Arrow, we have enjoyed a working relationship with our Arabian, part-Arabian Spanish Mustang cross and other horses we have had. We enjoy their beauty, good nature, and common sense that comes with the bloodlines of their performance ancestry. With the Arabians, we have a tendency to appreciate the working abilities of *Witez II and Ofir bloodlines, which are Polish bred horses. We also like the Crabbet bred and Raffles bloodline from Great Britain. In our opinion, horses with these bloodlines often turn out to be good sensible working horses, that often are able to live a long useful life. But farm injuries have caused us to cut back our horse ownership in recent years. Some of our horses were stake out broke after weanling age. All are use to being with cattle, as they are usually wintered with our herd bulls during half of winters months, so know how to watch out for themselves and how to manage with being around average natured bulls. Their summer pasture is a ranch/cattle type of pasture with barbwire fencing, so they are also familiar with that type of fencing.

Sorry SOLD - Triquetra Princess “Princess”:

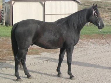
Status: Broke to ride western, well started by a professional trainer Breed: Part-Arabian: (OFIR, 1.41% *WITEZ II, & 25% Spanish Mustang.) Color/Sex/Height: Smoky Black w dapples (sun fades) / mare / 15.1hh Foaling Date/Breeder: April 21, 2010 / The Broken Arrow Registration No.: HAHR*1A371474 Sire: Eopolus (purebred Arabian endurance horse) Dam: TBA Barbie (Arabian-QH / Spanish Mustang) Price: Sorry Sold to a new home in ND!

In Sweet Memory - Mi Tsyndamiga "Syndi":

Status: Brood Mare - Unbroke to Ride Breed: Purebred Arabian (8.2 percentage *Witez II with 5 lines) Color/Sex/Height: Black Bay / Mare / 14.3hh Life Date/Breeder: July 31, 2001 - Dec. 15, 2021 / Courtney Registration No.: AHRA 0589240 Sire: GDE Tsyndari (Purebred Arabian - most classical) Dam: Mi Amira Amigo (Purebred Arabian) Price: Not For Sale

Magnum Witez BA “Magnum”- Rehomed:

Status: Broke to Ride Western (upper intermediate to experienced rider, bigger boned can carry large person.) Breed: Purebred Arabian Color/Sex/Height: non fading Black / Gelding / 14.3hh Foaling Date/Breeder: April 28, 1999 / Witez Black Arabians Registration No.: AHRA 0563830 Sire: El Nigadin (Purebred Arabian) Dam: My Hal-Amiga (Purebred Arabian) Price: Sorry, Magnum left for a new home in ND.

TBA SPARK OF WITEZ “Sparky”:

Status: Broke to Ride Western (Sensitive energy, he was badly abused by male trainer, so goes best with experienced calm female rider.) Breed: Half Arabian/Spanish Mustang Color/Sex/Height: Red Liver Chestnut / Gelding / 15hh Foaling Date-Death/Breeder: April 20, 2004-Aug. 4th 2023/ The Broken Arrow Registration No.: HAHA 1A354227 Sire: Nickohli Witez BA (Purebred Arabian) Dam: TBA Barbie (Arabian-QH / Spanish Mustang) Price: Kept Him For Pet

Belle:

Status: Broke to ride Western (Kid middle Intermediate - Adult intermediate. Was beginners horse but learned to cheat on beginners. Good with most traffic, will carry a flag.) Breed: Morgan Color/Sex/Height: Red Chestnut / Mare / 14.3hh Foaling Date/Breeder: Approx. 2001 (Vet. estimate) / unknown Registration No.: None Sire: unknown Morgan Dam: unknown Morgan Price: Keeping For Pet

In Loving Memory - Love Rage “Snipper”

Status: We hope to see him in heaven someday, as he was a blessing from God. A very good cowhorse, trail buddy, and family horse. Breed: Purebred Arabian (Crabbet Breeding) / El Jean Arabians Color/Sex/Height: Grey/ Gelding / 15hh Life Dates/Breeder: April 8, 1981 to September 9, 2011 / El Jean Arabians Registration No.: AHRA 236044 Sire: Sur-Patt (purebred Arabian) Dam: Gai-Courrage (purebred Arabian) Price: He was priceless
Princess: More Info Syndi: In Memory Syndi: In Memory Magnum: More Info Magnum: More Info Sparky: In Memory Belle: More Info Snipper: Memory Poem Snipper: Memory Poem
This website is maintained by:
The Broken Arrow

Horses

Work, Play, Or Just Petting

Here at The Broken Arrow, we have enjoyed a working relationship with our Arabian, part-Arabian Spanish Mustang cross and other horses we have had. We enjoy their beauty, good nature, and common sense that comes with the bloodlines of their performance ancestry. With the Arabians, we have a tendency to appreciate the working abilities of *Witez II and Ofir bloodlines, which are Polish bred horses. We also like the Crabbet bred and Raffles bloodline from Great Britain. In our opinion, horses with these bloodlines often turn out to be good sensible working horses, that often are able to live a long useful life. But farm injuries have caused us to cut back our horse ownership in recent years. Some of our horses were stake out broke after weanling age. All are use to being with cattle, as they are usually wintered with our herd bulls during half of winters months, so know how to watch out for themselves and how to manage with being around average natured bulls. Their summer pasture is a ranch/cattle type of pasture with barbwire fencing, so they are also familiar with that type of fencing.

Sorry SOLD - Triquetra Princess

“Princess”:

Status: Broke to ride western, well started by a professional trainer Breed: Part-Arabian: (OFIR, 1.41% *WITEZ II, & 25% Spanish Mustang.) Color/Sex/Height: Smoky Black w dapples (sun fades) / mare / 15.1hh Foaling Date/Breeder: April 21, 2010 / The Broken Arrow Registration No.: HAHR*1A371474 Sire: Eopolus (purebred Arabian endurance horse) Dam: TBA Barbie (Arabian-QH / Spanish Mustang) Price: Sorry Sold to a new home in ND!
Princess: More Info

In Sweet Memory - Mi Tsyndamiga

"Syndi":

Status: Brood Mare - Unbroke to Ride Breed: Purebred Arabian (8.2 percentage *Witez II with 5 lines) Color/Sex/Height: Black Bay / Mare / 14.3hh Life Date/Breeder: July 31, 2001 - Dec. 15, 2021 / Courtney Registration No.: AHRA 0589240 Sire: GDE Tsyndari (Purebred Arabian - most classical) Dam: Mi Amira Amigo (Purebred Arabian) Price: Not For Sale
Syndi: In Memory

Magnum Witez BA “Magnum”- Rehomed:

Status: Broke to Ride Western (upper intermediate to experienced rider, bigger boned can carry large person.) Breed: Purebred Arabian Color/Sex/Height: non fading Black / Gelding / 14.3hh Foaling Date/Breeder: April 28, 1999 / Witez Black Arabians Registration No.: AHRA 0563830 Sire: El Nigadin (Purebred Arabian) Dam: My Hal-Amiga (Purebred Arabian) Price: Sorry, Magnum left for a new home in ND.
Magnum: More Info Magnum: More Info

TBA SPARK OF WITEZ “Sparky”:

Status: Broke to Ride Western (Sensitive energy, he was badly abused by male trainer, so goes best with experienced calm female rider.) Breed: Half Arabian/Spanish Mustang Color/Sex/Height: Red Liver Chestnut / Gelding / 15hh Foaling Date-Death/Breeder: April 20, 2004-Aug. 4th 2023/ The Broken Arrow Registration No.: HAHA 1A354227 Sire: Nickohli Witez BA (Purebred Arabian) Dam: TBA Barbie (Arabian-QH / Spanish Mustang) Price: Kept Him For Pet
Sparky: In Memory

Belle:

Status: Broke to ride Western (Kid middle Intermediate - Adult intermediate. Was beginners horse but learned to cheat on beginners. Good with most traffic, will carry a flag.) Breed: Morgan Color/Sex/Height: Red Chestnut / Mare / 14.3hh Foaling Date/Breeder: Approx. 2001 (Vet. estimate) / unknown Registration No.: None Sire: unknown Morgan Dam: unknown Morgan Price: Keeping For Pet
Belle: More Info Belle: More Info

In Loving Memory - Love Rage “Snipper”

Status: We hope to see him in heaven someday, as he was a blessing from God. A very good cowhorse, trail buddy, and family horse. Breed: Purebred Arabian (Crabbet Breeding) / El Jean Arabians Color/Sex/Height: Grey/ Gelding / 15hh Life Dates/Breeder: April 8, 1981 to September 9, 2011 / El Jean Arabians Registration No.: AHRA 236044 Sire: Sur-Patt (purebred Arabian) Dam: Gai-Courrage (purebred Arabian) Price: He was priceless
Snipper: Memory Poem Snipper: Memory Poem
This website is maintained by:
This website is maintained by: